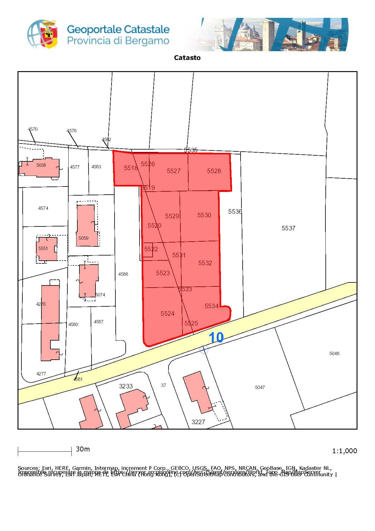
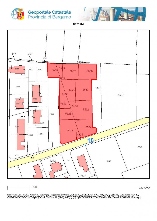
Ghisalba zona piscine vendesi lotto di terreno edificabile da urbanizzare, pronto subito di mq 5084 di cui superficie copribile mq 1695 edificabile mq 2300 per un volume massimo consentito di mc 6900.
Questo terreno risulta essere perfetto per evntuale lottizzazione su cui costruire palazzine di 4/6 appartamenti, villa bifamiliare, a schiera o singole.
La lottizzazione prevede a confine, la strada di lottizzazione e ampia zona parcheggio sui lati sud ed ovest, pista ciclabile a nord, e parco verde ad est.
Il terreno perfettamente pianeggiante è distribuito in modo da consentirne la massima edificabilità e sfruttabilità, per realizzare costruzioni che potranno godere di vista , sole e tanta privacy.
