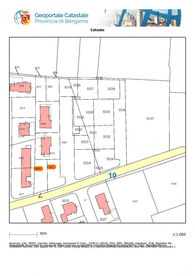
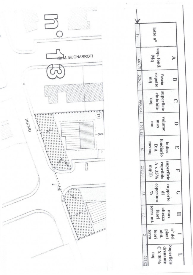
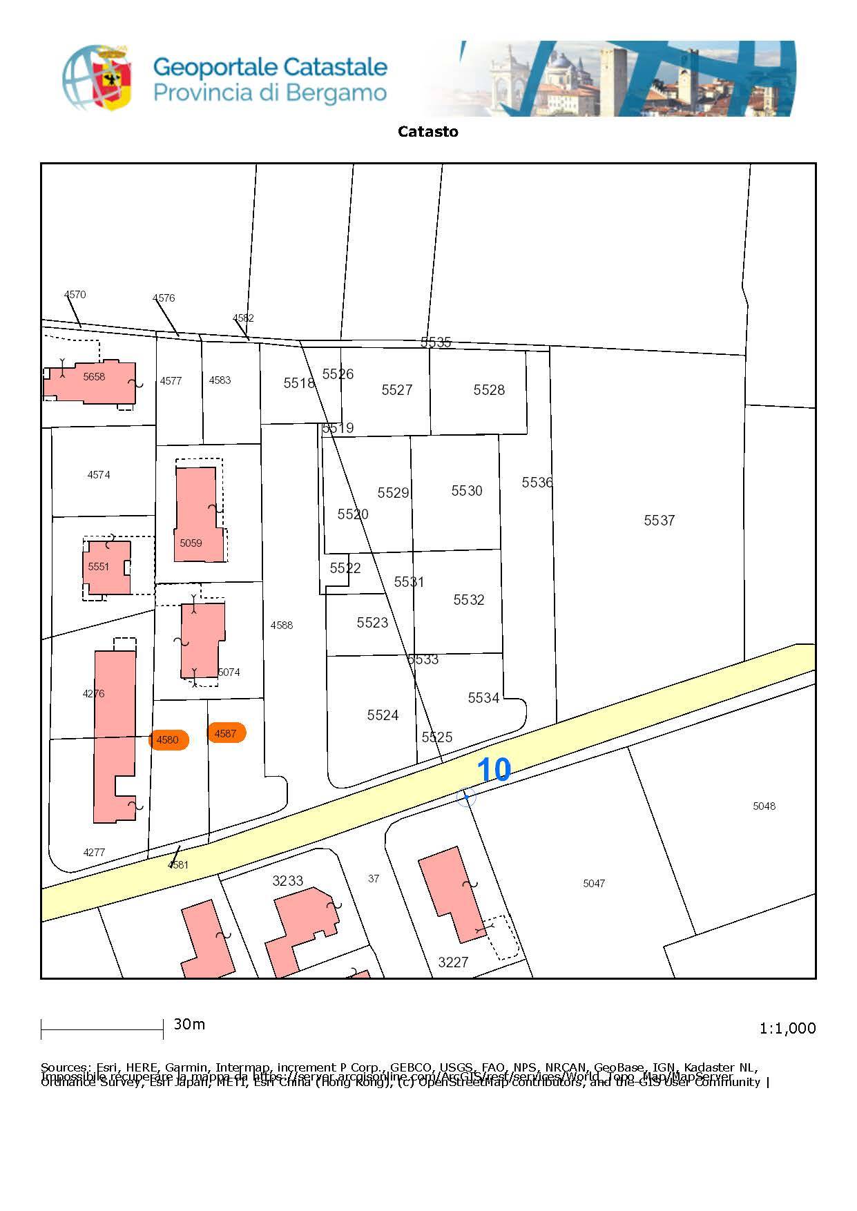
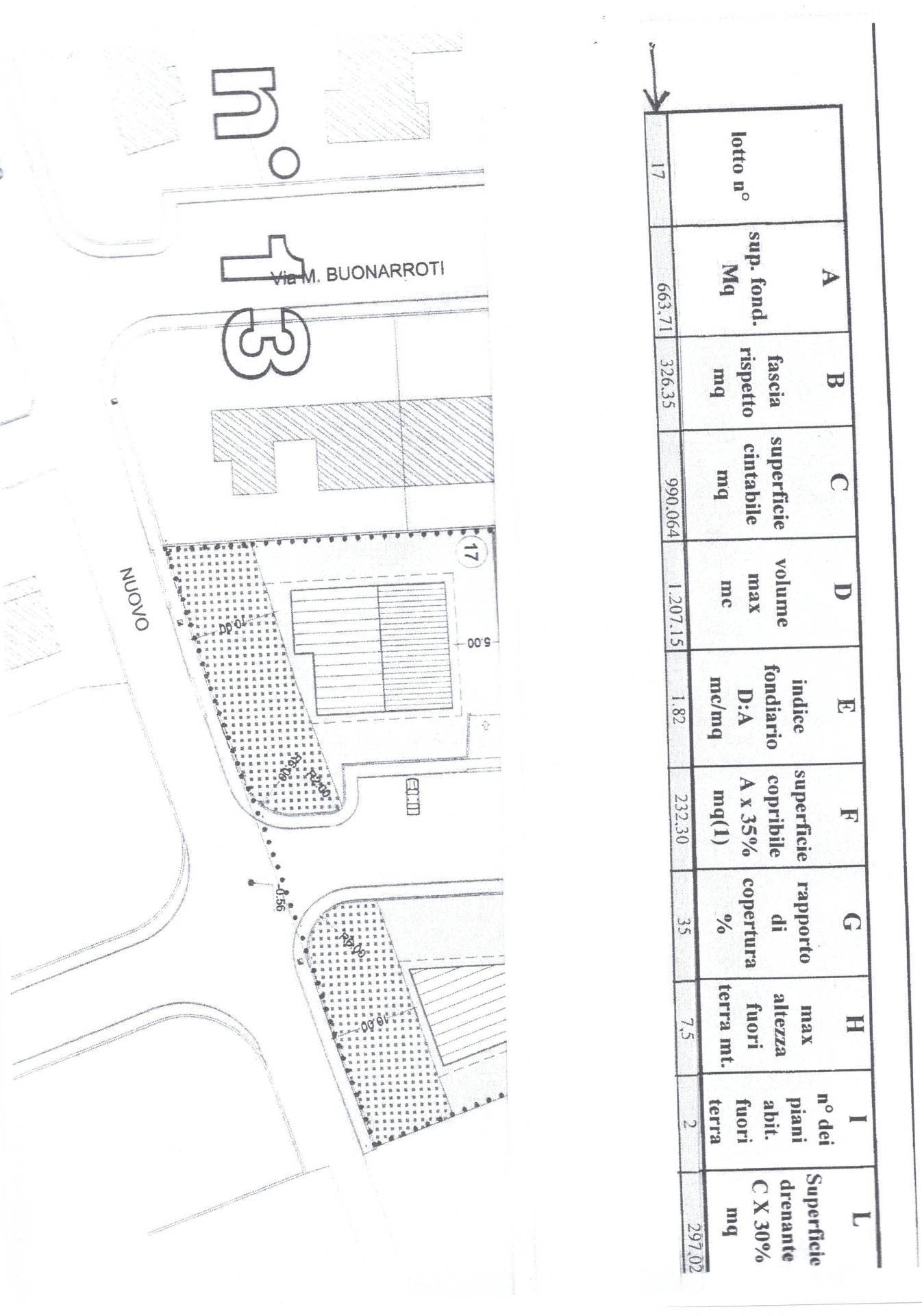
Ghisalba zona piscine vendesi lotto di terreno edificabile urbanizzato pronto subito di mq 990 di cui superficie copribile mq 232 edificabile mq 403 per un volume massimo consentito di mc 1207.
Questo terreno risulta essere perfetto per la costruzione di una palazzina di 4/5 appartamenti, o una splendida villa bifamiliare o singola.
Il terreno perfettamente pianeggiante è collocato in testa alla via pertanto, le costruzioni che verranno realizzate, potranno godere di vista , sole e tanta privacy.
